Tuesday, 17 February 2026

Surf Coast Shire Council final consideration of $50M/196 home retirement village in Torquay, VIC

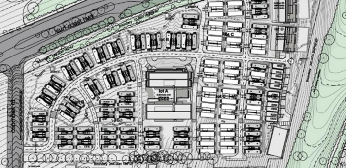
With overwhelming evidence that an Over 55s facility is needed in the seaside town, 97km southwest of Melbourne's CBD (Central Business District), councillors tonight will decide if the scaled back plan for 196 independent living units, including...

Ian Horswill profile image
by Ian Horswill
Surf Coast Shire Council final consideration of $50M/196 home retirement village in Torquay, VIC

With overwhelming evidence that an Over 55s facility is needed in the seaside town, 97km southwest of Melbourne's CBD (Central Business District), councillors tonight will decide if the scaled back plan for 196 independent living units, including three apartment buildings comprising of 79 units and 120 detached single-story units, will go-ahead.

The proposal by Sincock Planning has seen local residents demonstrate and more than 110 objections. However, the councillors have been advised to approve the facility, which also includes a club house, which could be up to three storeys high, with a swimming pool, gym, sauna, and library.

Speaking of behalf of the applicant at a special meeting in May, Leigh Prosser said the developers had taken the objections into consideration and amended the plans. 

“There are no policies within the Surf Coast planning scheme that discourages this use at this site,” she said.

A Market assessment sent with the application, provided by Macroplan, dated 19 June 2020, assessed the Australian Bureau of Statistics 2011 and 2016 Census data. This assessment concluded that with the population aged 65+ years in Torquay forecast to double during the next 15 years, a gap assessment shows theoretical future market demand of approximately 340 dwellings by 2036 within the Torquay catchment to accommodation the underlying demand, assuming trend line penetration growth.

The SOURCE: To keep historic penetration at 6% of all people 75+, 5,500 new village homes a year need to be built, but each year there are just 3,000 constructed. Let us hope councillors show common-sense and follow the recommendation. 

Read More

puzzles,videos,hash-videos