GemLife in new partnership for QLD land lease community
GTH Project No 2, the company behind GemLife, has applied to Mackay Regional Council to be able to build lot sizes for the proposed dwellings ranging from 247sqm to 266sqm, with each home to feature its own two-car garage.
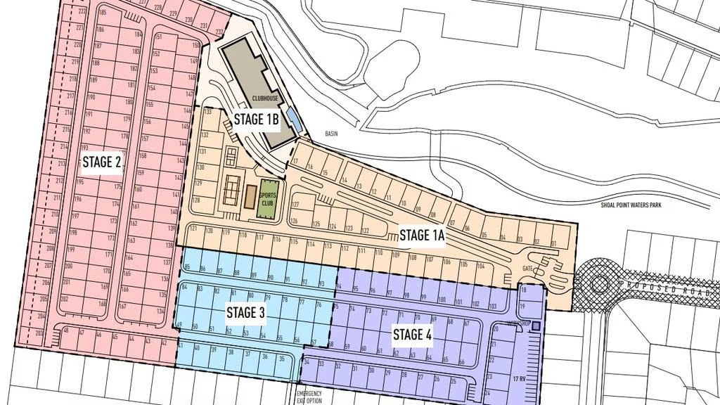
The ASX-listed operator has lodged a development application for a total of 232 homes in Pointglen Developments’ Shoal Point Waters master planned community on Mackay’s Northern Beaches.
GTH Project No 2, the company behind GemLife, has applied to Mackay Regional Council to be able to build lot sizes for the proposed dwellings ranging from 247sqm to 266sqm, with each home to feature its own two-car garage.
Residents would also have access to a centrally located clubhouse which “may include” a lounge, dance floor, stage, hall, salon, cinema, golf simulator, library, craft room, gym, two pools, ten pin bowling, outdoor terrace, bar and kitchen area, and meeting rooms, documents state.
“The sports club is the secondary communal facility which may include lawn bowls, sports bar, [and a] dining viewing area which will provide opportunities for residents to partake in social recreation,” the application added.

The lifestyle resort would be built over five stages and have 17 RV car parking spaces next to a hobby crafts workshop, 59 visitor car parks, and an emergency access lane along the southern boundary.
The subject land is a 10ha slice of an 80.35ha lot belonging to VGV Holdings, VJJ Holdings, MPV Holdings and PVC Holdings, respectively directed by Victor Vassallo, Joseph Vassallo, Michael Vassallo and Peter Vassallo.

Shoal Point Water’s master planned community will eventually be home to over 1,400 families.
GemLife currently has 1,923 occupied homes, according to its latest quarterly financial report.