Thursday, 21 May 2026

$50M retirement village planned on Surf Coast Council land in VIC

Surf Coast CEO Robyn Seymour said the decision to go to a public consultation period did not necessarily mean the site would be sold, Geelong Advertiser reported

Section Editor  profile image
by Section Editor
$50M retirement village planned on Surf Coast Council land in VIC

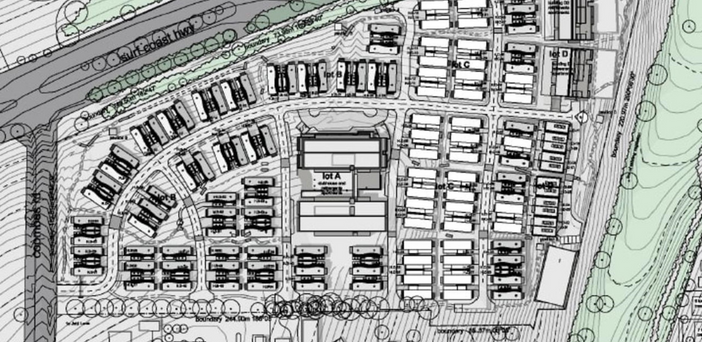
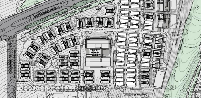
An amended and scaled back plan for a $50 million 138-independent living unit retirement village on what is now council-owned land has been approved by Surf Coast Council and will go to public consultation. The site, which is on the outskirts of the seaside town of Torquay, 21km south of Geelong, VIC, was approved for sale in principle for a retirement village last year despite community objections. The three-storey villas in the proposed village designed by Sincock Planning have been reduced to two storeys and a two-storey apartment building and now three-storey clubhouse have been moved.  Surf Coast CEO Robyn Seymour said the decision to go to a public consultation period did not necessarily mean the site would be sold, Geelong Advertiser reported.

Read More

puzzles,videos,hash-videos