Saturday, 25 April 2026

Grove Partners pause retirement village development in Sunshine Coast

The developer of a plan for a retirement village, near Nambour, has agreed to a request by Sunshine Coast Council to a pause in the planning process. Applicant and landowner Grove Partners, part of Andrew and Jo Pitcher’s Highgate Developments...

The Weekly Source  profile image
by The Weekly Source
Grove Partners pause retirement village development in Sunshine Coast

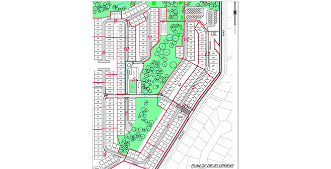
The developer of a plan for a retirement village, near Nambour, has agreed to a request by Sunshine Coast Council to a pause in the planning process. Applicant and landowner Grove Partners, part of Andrew and Jo Pitcher’s Highgate Developments group, lodged a development application last year to construct a 275-unit retirement village at 3-53 Savilles Road, Highworth, which is just outside Nambour. Updated plans submitted on 19 March show that the number of homes has been reduced to 241. The proposal is code-assessable, meaning it does not have to go through public consultation as it complies with local planning provisions. However Sunshine Coast Council on 6 April detailed more than 20 issues requiring clarification; including communal open space, stormwater management, pedestrian access, vegetation offsets and dwelling designs.

“In relation to the above application, we hereby stop the clock for 15 business days to enable sufficient time for the assessment of the response to Council’s further advice,” said Blake Bell, Principal Town Planner, Murray & Associates.

Read More

puzzles,videos,hash-videos